Introduction
Cette étude se penche sur la question du « logement vacant » en Région wallonne. Quoiqu’il soit difficile d’établir précisément le nombre de logements actuellement « vacants », on sait qu’un nombre important d’habitations, en particulier dans les grandes villes wallonnes de Liège et de Charleroi, sont depuis longtemps et actuellement vides. Cette problématique du logement vacant revient d’ailleurs régulièrement dans le débat public : en vue de faire face à la crise du logement que nous vivons aujourd’hui, d’aucuns considèrent en effet qu’il conviendrait avant tout d’élaborer une politique publique capable de mobiliser et de remettre en circulation ce parc de logements inoccupés. C’est en ce sens que trois nouveaux arrêtés gouvernementaux sont entrés en vigueur en septembre 2022 : ils ont pour but de renforcer la politique d’activation du logement vacant de la Région wallonne déjà en place en durcissant notamment la pression à l’égard des propriétaires dont les bâtiments sont depuis longtemps inoccupés. Cette politique d’activation est-elle cependant adaptée à la situation sur le terrain ? Nous nous posons en effet une question simple : pour quelles raisons certains logements restent-ils vides ? De toute évidence, ce n’est pas dans l’intérêt des propriétaires d’abandonner les bâtiments dont ils disposent. Pourquoi donc ceux-ci n’occupent-ils pas leurs biens ? Et pourquoi ne les louent-ils pas ? Nous souhaitons mieux cerner les raisons intimes de ce phénomène de vacance car nous pensons que pour envisager une politique publique adéquate, en prise avec la réalité, il convient d’abord de comprendre la situation sur le terrain. Cette étude vise donc avant tout à circonscrire, à identifier un peu plus précisément l’ensemble des raisons qui poussent certains propriétaires à ne pas investir leurs biens, ni même à les louer. Elle s’articule en deux volets. La première partie propose une synthèse des dernières innovations législatives en la matière mises en œuvre à l’échelon régional en vue d’activer, de remettre petit à petit le logement vacant en circulation ; s’ensuit une enquête de terrain - réalisée pour urbAgora par deux étudiantes du master en Savoirs critiques de l’Université de Liège dans le cadre de leur stage de fin d’études - auprès de propriétaires de certains logements inoccupés dans le quartier de Saint-Léonard à Liège. Nous verrons qu’à Liège, il semble que ce soit d’abord le caractère insalubre du parc immobilier qui entraîne un important phénomène de vacance...
I. Présentation de la politique publique régionale sur le logement vacant
Nous sommes dans un contexte de « crise du logement » : l’accès au logement « financièrement accessible et de qualité suffisante » devient de plus en plus problématique. De fait, le coût du logement augmente plus rapidement que les revenus moyens |1|. L’accès au logement - locatif et acquisitif - est difficile pour les ménages à faibles revenus, mais aussi, de plus en plus, pour les ménages à revenus moyens. Partout, les loyers s’envolent : « Dans le secteur privé, le montant des loyers a augmenté partout en Wallonie, en ville et en province, en milieu urbain et rural » ; dans le secteur public, le loyer n’a jamais augmenté aussi rapidement depuis la fin de la crise sanitaire |2|. Au niveau du type de biens, on observe que les loyers élevés des logements de prestige et ceux des logements de grande taille augmentent plus lentement que les loyers les moins élevés et ceux des logements de petite taille |3|. D’où le rapport sur la cohésion sociale en Wallonie de 2020 qui note : « ce constat est préoccupant pour les ménages les plus précaires qui n’ont d’autres choix que de louer de (petits) logements bon marché ». En outre, l’accès des wallons à la propriété est de plus en plus difficile : le prix moyen de vente des maisons ordinaires a crû beaucoup plus que le revenu disponible ajusté |4|.
Pourtant, le droit au logement est un droit constitutionnel : l’article 23 de la Constitution garantit « le droit à un logement décent », un droit dont la finalité pourrait s’exprimer comme suit : « tous les citoyens wallons ont droit à un logement décent, adapté à la taille du ménage et financièrement accessible » |5|. La Région wallonne entend garantir ce droit en renforçant l’accès à la propriété pour tous et en garantissant l’accès au logement via le logement social et l’activation du logement inoccupé |6|. Nous ne nous étendrons pas sur les deux premiers points qui feront l’objet d’autres publications. Dans cette étude, nous développerons plus en détail la réponse politique à la question du droit au logement par l’activation des logements inoccupés.
La Région wallonne souhaite en effet « renforcer sa lutte contre le logement inoccupé » : elle y voit une façon de garantir le droit au logement en remettant sur le marché locatif et acquisitif des biens jusqu’alors « endormis », c’est-à-dire des biens qui ne sont pas habités par leur propriétaire, mais que ce dernier ne loue pas non plus.
Ces biens sont dits « vacants ». De nombreuses études montrent « qu’un certain volume de logements vacants est nécessaire à la fluidité du marché : c’est ce que l’on peut appeler la vacance frictionnelle, inévitable entre deux occupants successifs d’un logement. On peut même, sans provocation, affirmer qu’un trop petit nombre de logements vacants est à coup sûr l’indice d’une grave pénurie » et contrevient à l’équilibre de l’offre et de la demande : il a ainsi été montré qu’un faible taux de logements vacants coïncide avec des prix élevés |7|.
Il est cependant également admis que, lorsque le logement excède une certaine durée d’inoccupation - en Wallonie, celle-ci est fixée à 12 mois -, la vacance devient structurelle et problématique. Aux yeux de la Région wallonne, la remise sur le marché de ces biens vacants de longue durée, parce qu’ils conduiraient à élargir l’offre, permettrait par conséquent de faire baisser les prix de l’immobilier et des loyers, garantissant par conséquent à davantage de personnes l’accès au logement à un prix correspondant à leurs revenus (la part du loyer dans le revenu d’un ménage conseillée est de 1/3).
Afin de concrétiser la Déclaration de Politique Régionale et la lutte contre les logements inoccupés, le ministre Collignon a proposé trois arrêtés gouvernementaux en 2021 ; ceux-ci sont entrés en vigueur en septembre 2022 :
- Au niveau de l’enjeu d’identification du logement vacant – pris en charge par les autorités communales -, les gestionnaires de réseaux de distribution sont tenus de communiquer aux pouvoirs locaux les logements dont la consommation d’eau et d’électricité, parce qu’elle est en deçà d’un certain seuil, laisse supposer qu’ils sont vides, inoccupés.
Il ressort de la littérature que cette « méthode s’avère insuffisante à elle seule » |8| mais constitue « l’une des seules applicable à l’échelle de vastes territoires afin de disposer de chiffres harmonisés et comparables » |9|.
- La réforme entend « renforcer l’effectivité de l’action en cessation en permettant à certaines associations de défense du droit au logement, via une procédure d’agrément d’introduire elles-mêmes en justice des actions en cessation » |10|. Ce mécanisme désigne la possibilité d’introduire une action auprès du président du TPI afin qu’il ordonne au propriétaire de prendre toutes les mesures utiles afin de faire cesser l’inoccupation dans un délai raisonnable.
- Le décret de 2021 fixe le montant de l’amende administrative |11| (introduite en 2017) qui érige en infraction le fait de maintenir un logement présumé inoccupé, sans pouvoir justifier l’inoccupation par des raisons légitimes, des raisons indépendantes de la volonté du propriétaire ou en cas de force majeure.
Ces trois « modifications » s’inscrivent dans une politique publique d’activation du logement inoccupé déjà réformée en 2017. Au final, différents outils sont aujourd’hui en place qui concourent à réduire la part de logements vacants ; trois anciennes mesures interviennent également :
- La « prise en gestion » volontaire d’un bien est un mécanisme mis en œuvre par les Agences Immobilières Sociales (AIS) |12|, un propriétaire peut ainsi demander à une AIS de gérer, ou à défaut, de louer « pour lui » le logement inoccupé : « après y avoir réalisé les travaux nécessaires, l’opérateur immobilier conclut un contrat de location avec un ménage afin de lui mettre le logement à disposition. Les loyers versés par le locataire final à l’opérateur immobilier sont rétrocédés au propriétaire du bien, déduction faite des frais de gestion et d’entretien et, le cas échéant, du coût des travaux par l’opérateur immobilier » |13|.
- Il existe également des mécanismes de « subventions aux propriétaires » qui prennent la forme de subsides plafonnés à 68 300€ indexés et de prêts à taux 0 % octroyés par le Fonds du Logement de Wallonie. Un montant supplémentaire de maximum 30 200 € peut être octroyé en cas de surcoût spécifique ou de réalisation de travaux économiseurs d’énergie.
Le propriétaire s’engage en échange à louer son bien à loyer plafonné par le biais des AIS ou à une association de promotion du logement qui prennent en charge la gestion locative pendant 9 ou 15 ans |14|.
- La prise en gestion forcée ou judiciaire : permet aux AIS d’introduire une action en justice. De façon unilatérale et contre l’avis du propriétaire, le juge peut décider d’une prise en gestion du bien par « l’État » (la commune). Cependant, ce genre de démarches apparaissent comme lourdes pour les AIS qui favorisent plutôt une approche incitative auprès des propriétaires dans un cadre collaboratif et de bonne volonté |15|. Cette procédure ne constitue pas une expropriation.
Les réquisitions (prise en gestion forcée ou judiciaire) sont prévues par le législateur mais ne sont dans les faits que très rarement mises en œuvre ; elles font partie d’un paradigme plus interventionniste voire coercitif qui vient se heurter au droit de la propriété privée et à un choix politique de la Région wallonne de garantir l’accès au logement d’abord via l’accès à la propriété, en suivant l’héritage d’une politique belge du logement historiquement orientée vers le soutien à l’acquisition de logements pour les ménages depuis le 19e siècle |16|. Ainsi, les politiques menées au niveau régional suivent les mêmes orientations que celles menées par l’ancienne politique fédérale : l’accès à la propriété et la faible régulation du marché locatif privé constituent des axes essentiels de ces politiques |17|.
Cette politique d’activation du logement vacant ne va cependant pas sans poser question. Les moyens à mobiliser pour mettre en œuvre la politique d’activation du logement vacant au regard des résultats réalistes que l’on pourrait en obtenir semblent démesurés. Le travail d’identification des logements vacants et, d’une façon générale, le suivi technique et juridique que réclame une telle politique d’activation du logement inoccupé, incombent en effet, dans une logique “municipaliste” d’autonomie communale, aux communes lesquelles n’ont, à ce jour, pas reçu de moyens supplémentaires de la Région. L’Union des Villes et Communes indique d’ailleurs que « la lutte contre les logements inoccupés implique la mobilisation d’importantes ressources humaines rendant le bilan coût-bénéfice (pour l’intérêt général) relativement mitigé » |18|.
« Confrontées à une crise structurelle depuis les années 1970 » et souffrant de la pauvreté |19|, les grandes villes wallonnes, au sein desquelles cette question du logement vacant est justement particulièrement prégnante, rencontrent par conséquent bien des difficultés. Plébisciter l’autonomie communale dans ce contexte sans moyen supplémentaire pour les grandes villes enfonce donc un peu plus le clou pour ces dernières, notamment Liège et Charleroi, qui se retrouvent face à des problématiques récurrentes qui demanderaient déjà des moyens supplémentaires d’ampleur régionale… À Liège, un groupe de travail a été mis en place, mais sans aide de la Région pour engager du personnel en vue de créer une « cellule logement inoccupé », une mise en œuvre complète de la politique semble difficilement envisageable pour l’administration.
Les associations militantes de gauche voient pour leur part dans la mise en œuvre de cette politique, y compris dans ses méthodes les plus coercitives, une des façons d’en finir avec la crise du logement. Nous pensons que les choses sont peut-être un peu plus compliquées que cela, en particulier si l’on songe - on vient de l’évoquer - au coût « matériel » que représente la mise en œuvre d’une telle politique, mais aussi lorsqu’on pense à son coût « social » et notamment à l’opposition, souvent sans nuance, qu’elle opère entre les locataires d’une part, les propriétaires de l’autre. Chahr Hadji, dans « Échos laïques » pour Bruxelles, souligne par exemple que : « Ce discours sur les logements vides est agité pour faire diversion sur les véritables enjeux et participe de l’immobilisme en matière de construction de logements publics et à l’absence de mesure pour encadrer le prix des loyers. [...] La "lutte" contre le logement vide sert surtout d’occasion aux partis de gauche de faire valoir une posture intransigeante avec les "méchants" propriétaires de logements vides, tout en préservant la sensibilité des partis de droite qui ne veulent surtout pas que l’on prenne des mesures visant à mieux réguler, contrôler et sanctionner les propriétaires des 95 % du marché qui abusent sur le montant des loyers qu’ils exigent. » |20|. Sans partager jusqu’au bout cette vision des choses, nous restons interpellés par ce type de propositions. L’opposition dressée entre les locataires et les propriétaires n’est-elle pas par trop rapide ? Pour quelles raisons certains logements restent-ils inoccupés parfois pendant bien des années ?
II. Mieux comprendre le phénomène de la vacance : pour quelles raisons certaines habitations restent-elles vides ?
Comme nous l’indiquions en introduction, nous pensons que pour réaliser une politique d’activation du logement vacant et mettre en œuvre de façon efficace les différents dispositifs existants, la compréhension du phénomène est fondamentale. Pour le cas français, une chercheuse postule par exemple que l’écart entre les objectifs des pouvoirs publics en terme de réactivation des logements inoccupés et les résultats observés peut s’expliquer par « une méconnaissance de la part des propriétaires privés des aides existantes, pouvant venir d’un manque de communication de la part des acteurs mettant en place ces dispositifs » |21|. C’est une possibilité. Mais qu’en est-il réellement ? Pour quelles raisons les propriétaires laissent-ils leurs biens inoccupés ? Pour quelles raisons ne les occupent-ils pas et ne les louent-ils pas ? C’est ce que nous essayons de comprendre et c’est pourquoi nous avons proposé à deux étudiantes du Master en Savoirs Critiques de l’ULiège de sonder, dans le cadre de leur stage de fin d’études, le phénomène de la vacance dans le quartier Saint-Léonard, c’est-à-dire de partir à la rencontre des propriétaires de ces biens délaissés.
Voici le résultat de leur travail.
L’enquête qui suit est née de l’envie de découvrir les raisons de l’inoccupation de ces logements, sans jugement, sans a priori. Le but était de rencontrer les propriétaires des bâtiments, de discuter avec eux et de comprendre pourquoi leur logement demeurait vide : est-ce un problème d’héritage ? est-ce dû à l’insalubrité du bâtiment ? d’éventuels travaux font-ils difficulté ? Il s’agit donc d’une enquête qualitative visant à produire une analyse compréhensive de la situation, notamment dans le but de nourrir la réflexion sur les politiques publiques susceptibles de répondre adéquatement aux raisons de l’inoccupation du logement.
Nous avons décidé de centrer cette enquête sur les logements inoccupés au sein d’un seul quartier, le quartier Saint-Léonard. Nous aurions pu réaliser notre enquête dans n’importe quel autre quartier de Liège : Outremeuse, Sainte-Marguerite, l’hypercentre (plusieurs personnes avec qui nous avons eu l’occasion de discuter ont d’ailleurs insisté sur le problème que représente l’inoccupation des logements situés au-dessus des commerces dans ce quartier), etc. Nous avons décidé de nous concentrer sur le quartier de Saint-Léonard notamment parce qu’urbAgora y dispose d’un certain nombre de contacts (des personnes habitant, travaillant ou étant investies dans le quartier), dont un interlocuteur qui nous en a raconté l’histoire. Revenons-y brièvement.
Histoire de Saint-Léonard
Anciennement, Saint-Léonard était un faubourg de Liège et ne faisait donc pas partie du centre-ville, qui s’arrêtait au niveau du quartier Hors-Château. L’esplanade Saint-Léonard était alors un bassin, une zone portuaire utilisée à des fins commerciales. Au début du 19e siècle, le bassin a été comblé et une prison y a été construite. Saint-Léonard s’est donc intégré assez tard au centre-ville. Le quartier est entouré par des éléments naturels : la Meuse, d’un côté, deux ponts encadrant en quelque sorte le quartier, les Coteaux, d’autre part, avec au pied de ceux-ci le chemin de fer. Ces éléments créent une contrainte assez forte quant à la géographie du quartier, qui est ainsi construit en longueur, comme l’illustre la carte ci-dessous.
Au fil du 19e siècle, avec le développement de la révolution industrielle, le quartier, en raison de sa situation géographique (proche du centre) et de son aspect peu bâti, a semblé propice à la construction d’usines. Les rues datant de cette époque sont d’ailleurs facilement repérables, car elles sont très rectilignes (rue des Franchimontois, rue Chéri, etc.), alors que la rue Vivegnis ou bien la rue Saint-Léonard, qui sont les rues les plus anciennes du quartier, le sont beaucoup moins. On le sait, entre 1880 et 1914 la Belgique est la deuxième puissance mondiale : durant cette période, le quartier s’est fortement industrialisé. Mais il a par la suite subi deux coups durs : le premier lors de la Première Guerre mondiale, les bombardements ayant démoli beaucoup de bâtiments ; le second durant l’entre-deux-guerres, au moment où la Belgique perd son statut de deuxième puissance mondiale. En 1950, de nombreuses usines commencent à fermer ; les classes supérieures quittent le quartier, qui se délabre, pour aller s’installer ailleurs. A ceci succèdent deux vagues d’immigration, le prix du logement ayant fortement baissé : l’une italienne, l’autre espagnole (ainsi s’explique la présence de clubs et de bars espagnols à Saint-Léonard). Au final, on peut considérer que le quartier s’est construit très tardivement, qu’il s’agit d’un jeune quartier de la ville de Liège.
Certes, le quartier a vieilli, comme ses habitations. Pour autant, de nombreux logements refont leur apparition sur le marché immobilier : les maisons sont régulièrement vendues à des familles avec de jeunes enfants. Le quartier est ainsi réinvesti par des classes moyennes (parfois supérieures), qui rénovent des maisons de maître jusqu’alors divisées en appartements. Le quartier a également fait l’objet du programme ZIP-QI jusqu’en 2018, une opération de rénovation urbaine lancée par les pouvoirs publics. Nous pensons donc constater une forme de gentrification dans une grande partie du quartier, ce que l’on peut notamment observer sur cette carte :
De fait, nous remarquons que les prix de l’immobilier sont sensiblement plus élevés à l’ouest qu’à l’est du quartier. Cette différence peut en partie s’expliquer par la proximité du centre-ville de Liège dont bénéficie l’ouest de Saint-Léonard. Cependant, bien que certaines habitations soient investies par de jeunes familles, certains immeubles restent délabrés et demeurent en l’état. Notre enquête s’est centrée sur ces derniers.
Démarches et méthodologie de notre enquête
Dans le but de récolter des informations pertinentes, nous avons d’abord obtenu une liste d’associations, d’habitants, de maisons de santé, d’ASBL, etc., à contacter. Nous avons donc commencé notre enquête en appelant ou en envoyant des mails à ces personnes ou institutions, mais nous avons vite remarqué que la plupart ne pouvaient pas nous aider (y compris le comité de quartier, ce qui peut étonner…). Néanmoins, c’est bien de cette façon que nous sommes entrées en contact avec M., dont nous raconterons l’histoire un peu plus tard (à l’occasion d’un appel téléphonique, il nous a en effet indiqué que le deuxième logement de sa maison était vide). Nous avons également obtenu, par l’intermédiaire d’une personne travaillant pour la Ville de Liège, une liste de dix-sept bâtiments recensés comme inoccupés par la Ville (les coordonnées des propriétaires sont pour leur part protégées par le RGPD). Ensuite, nous avons collé des affiches dans des commerces du quartier, pour expliquer notre démarche et pour solliciter des témoignages ; cependant, l’adresse mail qui était indiquée, et qui a été créée pour ce travail, n’a jamais été utilisée…
Enfin, nous avons commencé à sillonner le quartier à pied, en essayant d’être les plus méthodiques possibles : nous étions munies d’une carte, sur laquelle nous recensions les rues parcourues ainsi que les logements inoccupés. Pour déterminer si une maison paraissait inoccupée, nous nous basions sur plusieurs indices : lorsqu’il était possible de voir l’intérieur du logement (quand il n’y avait ni volets ni rideaux), nous tentions de voir s’il était meublé ou non ; en revanche, s’il n’était pas possible de voir à l’intérieur, nous regardions s’il y avait des décorations aux fenêtres (autocollants, affiches, plantes ou autre sur les appuis de fenêtre, etc.) ou encore s’il y avait des noms sur les sonnettes et si ces dernières semblaient en bon état. Nous avons traversé le quartier au moment où la société RESA envoyait les demandes de relevé des compteurs et de nombreuses personnes avaient affiché la réponse à leur fenêtre : nous supposions que ces logements étaient occupés. Ensuite, si ces premières observations ne nous incitaient pas à croire que quelqu’un y vivait, nous nous basions sur l’apparence physique du bâtiment : des fenêtres cassées ou très sales, le bâtiment qui paraît tomber en ruines sont des éléments qui mettent la puce à l’oreille ; mais le plus fort indice est sans aucun doute la présence de panneaux anti-squat sur les portes ou les fenêtres.
Une fois tout cela pris en compte, si nous estimions qu’un bâtiment nous paraissait inoccupé, nous sollicitions les voisins afin d’avoir de plus amples informations le concernant. En général, ils pouvaient nous dire si le logement était bel et bien inoccupé (nous avons d’ailleurs eu à plusieurs reprises la surprise de voir que des bâtiments dont nous étions quasiment certaines qu’ils étaient inoccupés ne l’étaient, en fait, pas), mais pas nous donner le nom ou le numéro de téléphone du propriétaire en question, ce qui nous a surpris. Il nous semble que si nous avions réalisé une enquête de ce type dans un village de campagne, les voisins auraient su bien plus facilement nous renseigner. Par conséquent, nous avons quelquefois pu récolter la version des voisins, mais il n’a pas été possible de la confronter à celle des propriétaires en question. Lorsque les voisins nous disaient que le propriétaire passait quelquefois dans le bâtiment, nous avons laissé un papier dans la boîte à lettres avec une adresse mail de contact, mais, à ce jour, personne ne nous a contactées par ce biais. Lors d’une de nos visites, nous avons croisé un facteur qui faisait sa tournée, nous lui avons demandé s’il connaissait des bâtiments inoccupés et il a pu nous donner deux adresses, mais nous les avions déjà recensées.
Au total, nous avons marqué quarante-deux bâtiments comme inoccupés.
C’est lors de nos visites dans le quartier que nous avons remarqué que les bâtiments recensés par la Ville de Liège comme étant inoccupés sont ceux qui sautent directement aux yeux, car ils semblent en ruines, voire au bord de l’effondrement. La Ville ne semble donc pas avoir plus de moyens que nous pour déterminer quels sont les bâtiments inoccupés. Au fond, il suffit qu’un propriétaire mette des volets ou des rideaux et que son bâtiment ait une apparence relativement saine pour qu’il ne soit pas réputé inoccupé.
Au chapitre des difficultés rencontrées, nous avons remarqué qu’il était difficile de prendre en compte les immeubles à appartements, surtout les plus gros, car nous ne sommes jamais sûres de la division du bien et, plus les fenêtres sont hautes, moins il est possible de voir à l’intérieur. Nous notons également que la visite en journée du quartier n’a pas toujours permis de parler aux voisins des bâtiments ciblés (même si nous avons essayé de contrer cela en nous rendant sur place pendant le weekend et en essayant de changer nos heures de visite à chaque fois). De plus, si nous nous sommes uniquement rendues dans le quartier pendant la journée, pour des questions de sécurité ainsi que de disponibilité, il serait très intéressant de faire des photos des rues la nuit, à plusieurs jours d’intervalle, et de les comparer : les logements d’où il ne sort jamais de lumière pourraient alors être classifiés comme inoccupés. Enfin, nous n’avons jamais réussi à contacter l’agent de quartier, bien que certains voisins nous aient dit qu’il pourrait peut-être nous aider (la police ainsi que le comité de quartier ne nous ont jamais donné son contact et nous ne l’avons pas trouvé sur internet…).
Au final, nous avons recensé quarante-deux bâtiments inoccupés, mais nous avons seulement pu récolter des témoignages à propos d’une dizaine d’entre eux : c’est que les voisins n’ont pas nous renseigner, que la Ville ne peut nous transmettre ces informations, que nous n’avons pu entrer en contact avec l’agent de quartier et que la police, si elle dispose bien de ces informations (ce qu’elle ne nous a jamais confirmé), ne peut pas les diffuser non plus. Nous avons également tenté de contacter le cadastre, mais il convient alors de payer et de justifier chaque demande ; or il était plus que probable que nous ne recevions jamais les données désirées, car notre justification ne semble a priori pas valable.
Histoires des logements inoccupés
Notre premier interlocuteur est M. dont la maison est divisée en deux logements, le deuxième étant actuellement vide. En façade, la maison semble être une ancienne maison de maître. Les châssis ont l’air neufs, non endommagés. Quand nous entrons, il y a d’abord un couloir assez étroit qui débouche sur une cage d’escalier étroite (typique des maisons de maître). Avant de monter les escaliers, il y a une porte à droite où se situe le logement de notre interlocuteur. M. occupe seulement la partie droite de la maison. Quand nous montons les escaliers de la partie inoccupée, partie anciennement louée, nous arrivons à un petit hall avec deux encadrements de porte : un en face de nous, un à gauche. Le premier donne sur une petite cuisine que M. a commencé à installer. Les meubles sont neufs, mais la cuisine n’est pas tout à fait montée. L’encadrement de gauche donne sur un séjour salon/salle à manger, en travaux également. Nous n’avons pas l’impression qu’il y a de gros travaux à réaliser, plutôt d’importants rafraîchissements. Un autre escalier nous amène alors au deuxième étage où nous trouvons la même disposition qu’en-bas : la porte en face de nous donne sur une salle de bain (avec baignoire). La porte de gauche donne sur la chambre, avec une fenêtre avec vue sur le jardin. Le logement est salubre ; il y a cependant des travaux d’isolation et de rafraîchissement à réaliser, ainsi qu’un compteur à installer, car le sien n’est pas assez puissant. La partie de la maison habitée par M. est en réalité une sorte d’annexe, située dans le jardin à droite. Selon lui, avant, la maison devait être divisée en trois logements avec la maison de maître et deux petites dépendances adjacentes, collées à la maison.
M. a acheté cette maison en 1992 pour 1 million de francs (soit 25 000 euros). Il y a fait quelques travaux. Il connaissait des gens dans le quartier Saint-Léonard et travaillait à Bruxelles. Les loyers bruxellois étant élevés, il a décidé d’acheter à Liège. Pendant un moment, il a loué la totalité de sa maison à deux personnes : il recevait donc deux loyers, et il louait un appartement à Bruxelles. Il est finalement revenu à Liège et a récupéré le rez-de-chaussée. Avant qu’il ne l’achète, la maison appartenait à un couple qui vivait également dans la partie de derrière et avait une locataire au premier étage. La maison a donc toujours été divisée en deux logements depuis qu’il la possède, mais il pense que, auparavant, il y avait trois logements. Saint-Léonard était un quartier de charbonnage et accueillait donc des personnes appartenant au milieu ouvrier, ce qui expliquerait, selon lui, cette division de la maison.
Il estime que le second logement n’est plus occupé depuis trois ou quatre ans. Il a fini de payer la maison (vingt-cinq ans après, soit en 2017) et puis il a connu de mauvaises expériences avec l’avant-dernier et le dernier locataire (le dernier était bruyant : il organisait des répétitions de musique, il sautait sur le plancher et faisait trembler toute la maison ; le précédent n’avait pour sa part pas quitté le logement à la date prévue). M. admet que le fait de vivre seul le rend plus attentif au comportement de ses locataires. Comme il avait fini de payer sa maison et que le juge de paix est, à ses dires, constamment en faveur des locataires, il a décidé de ne plus louer la deuxième partie de la maison. De plus, ses parents sont décédés et il a hérité, ce qui lui a permis de ne plus être dans le besoin. Il y a deux ans, il a hébergé pendant trois mois un voisin victime d’un incendie. Le logement était dans le même état qu’actuellement, mais il y est resté en attendant que son propre appartement soit remis en état. Plus tard, quand M. sera moins valide, il pense héberger quelqu’un pour s’occuper de lui et ainsi éviter la maison de repos.
Actuellement, le bâtiment est salubre, mais il faut faire des travaux d’isolation. En hiver, M. ne chauffe plus la grande pièce à vivre de son logement, cela est trop coûteux : il se calfeutre dans les deux autres pièces. Il a déjà pensé à aller vivre en haut en hiver afin d’avoir moins froid (étant donné que l’air chaud monte et que les pièces sont moins grandes). Cependant, plusieurs choses l’empêchent d’entreprendre ces travaux : son état psychologique (il est dépressif) ; la crise de la covid-19 ; le fait de devoir sans cesse surveiller les ouvriers (il estime que ceci représente une charge mentale trop importante pour lui) ; enfin le décès de ses parents et de son frère. M. sait qu’il poursuivra les travaux, mais il souhaiterait trouver quelqu’un qui s’en occupe à sa place, de sorte qu’il n’ait à s’occuper de rien du tout.
Naguère, pour un autre projet immobilier, il avait fait appel à l’Agence Immobilière Sociale de la ville, mais il ne l’a pas recontactée. Il explique que l’agence a vraiment peu de moyens, ce qu’il trouve dommage. Cela ne le dérangerait pas de louer le deuxième logement à un prix très bas à condition d’avoir de l’aide pour les travaux. Il pense que le CPAS pourrait également être une solution, d’autant plus qu’ils garantissent un loyer payé (peu élevé, certes) pendant neuf ans, ce qui est avantageux par rapport au fait qu’entre deux locataires, dans des conditions normales, les propriétaires perdent souvent un ou deux mois de loyer le temps de relouer ou de faire quelques petits travaux. Il pense qu’il y a vraiment des choses à faire du côté politique ou des pouvoirs publics.
M. ne paye pas de taxe pour la partie inoccupée de la maison. Il devrait faire des démarches pour bénéficier d’une réduction du précompte immobilier, mais il n’a pas encore eu la force de le faire. Pour le moment, il paye comme si le deuxième logement était occupé. De plus, comme il est invalide depuis une dizaine d’années, il a, en principe, droit à une réduction, mais il n’a pas non plus fait la démarche pour en bénéficier. Il est conscient du problème du manque de logements, mais, tout seul, il ne pense pas avoir la force d’entreprendre de quelconques démarches, et le fait de ne pas avoir besoin d’argent ne l’y incite guère.
Notre second interlocuteur (F.) n’est pas propriétaire d’un logement inoccupé, mais les deux maisons voisines à la sienne sont vides Nous savions, grâce au recensement fait par la Ville, que deux maisons d’une des rues principales du quartier étaient inoccupées et, lors d’un de nos tours dans le quartier, nous avons remarqué que c’était également le cas d’une troisième maison située à côté des deux autres. F. nous explique que la maison 3 appartient à une dame dont il ne connait pas le nom. Celle-ci est née dans cette maison à laquelle elle est liée sentimentalement. Actuellement, elle ne vit plus là-bas, c’est son fils, toxicomane, qui y est domicilié. F. nous explique que la maison est un réel taudis ; elle est devenue le lieu de trafics de drogues et la police s’y rendait presque toutes les semaines. Cependant, en septembre 2021, le fils est parti en Afrique et, depuis, la maison est inoccupée. Son retour était programmé pour mars 2022, mais au moment où nous avons discuté avec F., il n’était pas encore revenu et les voisins espéraient qu’il ne reviendrait pas. En effet, ceux-ci ont des enfants et cette proximité de la drogue (l’homme avait des plants de cannabis, des seringues jonchaient le jardin, etc.) ne les enchantait guère. La maison 3 est également le lieu de faits de délinquance : la porte et les fenêtres ont déjà été cassées, probablement par des amis du fils. F. nous explique avoir déjà indiqué à la propriétaire qu’il serait bon de vendre la maison, mais celle-ci ne parvient pas à s’y résoudre en raison de son attachement sentimental ; et puis cela permet à son fils d’avoir un pied à terre quand il se trouve en Belgique.
En ce qui concerne les maisons 1 et 2, F. nous explique qu’il s’agit d’une double maison où vivaient une femme et son fils. À la mort de la femme, sa fille (la sœur du fils, donc) a vendu la maison. Le fils (que notre interlocutrice pense être atteint d’un handicap mental) revient de temps en temps voir la maison. Après le rachat, celle-ci a subi quelques travaux, mais n’a pas été habitée. Elle a ensuite été squattée par un ami de l’homme de la maison 3, après qu’ils se soient disputés. Un jour, la maison a pris feu, les pompiers ont donc été appelés et la police a embarqué l’équivalent d’une camionnette. F. pense qu’il s’agissait d’un laboratoire clandestin.
Grâce à des articles de presse, nous avons appris que le collectif Entre-Murs Entre-Mondes a occupé des bâtiments situés sur le Quai Saint-Léonard. Nous avons donc rencontré un des jeunes qui a squatté ce bâtiment : nous l’appellerons N. N. nous a expliqué que le site est composé de deux immeubles, visibles depuis la rue, de trois petites maisons qui se trouvent derrière ces bâtiments, ainsi que d’un hangar, qui était autrefois une brasserie. Ils ont découvert ce lieu grâce aux panneaux anti-squat qui se trouvaient sur les fenêtres. À l’époque, ils hésitaient entre squatter ce bâtiment et un autre à Bressoux (un ancien centre pour enfants placés par le juge), qu’ils ont du reste squatté par la suite. Ils ont choisi d’occuper celui de Saint-Léonard en premier, car son esthétique leur plaisait plus. Ils ont pénétré dans le bâtiment grâce à une entrée se situant sur le côté. Une fois à l’intérieur, ils ont bloqué les portes principales, qui sont des portes blindées, afin que le propriétaire ne puisse plus rentrer dans le bâtiment. En effet, si le propriétaire peut rentrer dans son bâtiment, il leur était plus difficile de défendre leur droit à rester dedans. En ce qui concerne le propriétaire, ils avaient une idée de son identité avant d’investir le lieu et celle-ci leur a été confirmée une fois à l’intérieur. Ils lui ont alors envoyé un dossier de présentation de leur projet, comprenant notamment des arguments défendant leur présence dans ces bâtiments inoccupés.
En ce qui concerne l’inoccupation du bâtiment par le propriétaire, notre interlocuteur nous explique que le lieu nécessite de grands travaux (aucun des bâtiments précédemment cités n’était habitable) au vu des normes de salubrité liégeoises. Cependant, le propriétaire déclarait que ce bâtiment était le siège de son entreprise, ce qui lui a permis de ne pas payer les taxes d’inoccupation,que N. estime à environ 2 000 euros par an. Il pense également qu’il s’agit d’un cas de spéculation immobilière : il essayait de le revendre à des entreprises privées, qui auraient construit un immeuble à la place.
Le propriétaire possède le bâtiment depuis un certain temps, il l’utilise en tant qu’espace de stockage, car il est brocanteur. Il a également prêté son bâtiment pour qu’un film puisse y être tourné (un autre film y a été tourné début mars 2022). Cela fait une vingtaine d’années que ces bâtiments ne sont plus occupés, selon N.
Entre-Murs Entre-Mondes avait accès au site dans sa totalité : les deux maisons de façade, dans lesquelles il ne restait que quelques meubles ; les trois petites maisons, qui étaient à moitié remplies de choses diverses ; le hangar, qui était rempli d’un très grand nombre d’objets hétéroclites. Ils avaient principalement installé des locaux dans les deux maisons de devant et s’étaient installés dans les trois petites maisons derrière le bâtiment. Ils n’ont, en revanche, pas eu le temps de réhabiliter le hangar, en raison du grand désordre qui y régnait.
Selon N., au vu du temps d’inoccupation du site, les bâtiments ne sont pas si dégradés que cela ; pour autant, il y a d’importants travaux à réaliser si l’on veut rendre le site habitable et salubre : le système d’électricité est vétuste (les fils électriques étaient recouverts de tissu…), des fenêtres sont cassées, le vitrage est simple (il est probable que si Entre-Murs Entre-Mondes avait dû y rester l’hiver, certains membres du collectif seraient morts de froid), des morceaux du toit s’écroulent et l’escalier est en piteux état. Les petites maisons ont meilleure allure, mais elles ne sont pas vivables : le bâtiment n’est pas aux normes (la ville aurait pu se servir de cet argument pour les mettre dehors).
Toujours selon N., Le propriétaire, un homme très âgé, a été très stressé par cette histoire et le collectif a eu du mal à communiquer avec lui. Ce sont surtout ses enfants qui l’auraient incité à mettre les squatteurs dehors. Ces derniers ne savent pas si leur action a eu de réelles conséquences, ils espèrent avoir attiré l’attention sur le fait que le bâtiment était inoccupé, mais ils ignorent si, désormais, l’homme paie une taxe. N. espère que Tel est le cas.
Le collectif a quitté les lieux, car une procédure d’expulsion sous X leur avait été adressée : un papier posé sur la porte les informait qu’ils devaient quitter les lieux dans les huit jours. À l’époque, ils n’ont pas su réagir ; en fait, ils auraient pu lancer une procédure dite contradictoire, qui permet de prouver que le propriétaire n’occupe pas son bâtiment et sait que les squatteurs existent. Ils ont tout de même organisé deux mobilisations (la première a rassemblé une trentaine de personnes à l’intérieur et entre cent-vingt à cent-cinquante à l’extérieur) : ils pensaient se faire expulser lors de la première, mais la police n’est jamais venue (ils auraient dû mobiliser la police fédérale pour les déloger). De plus, le bourgmestre de la ville de Liège ne souhaitait pas de grabuge et a donc préféré ne pas envoyer la police ce jour-là. Le collectif, en prévision de leur expulsion, avait déjà vidé les bâtiments et avait donc perdu le peu de confort qu’ils avaient réussi, tant bien que mal, à se procurer. Le lieu étant devenu très inconfortable, les jeunes étant épuisés par les démarches et la pression policière, ils ont préféré abandonner le bâtiment.
En fin de compte, ils n’y sont restés que trois mois ; ils ont eu l’occasion d’organiser quelques événements, mais ils n’ont pas réussi à atteindre les objectifs qu’ils s’étaient fixés (une école des devoirs, des projections, des concerts, des repas populaires, des cours de théâtre, offrir aux gens du quartier la possibilité d’utiliser le lieu pour y faire des animations, etc.) car ils devaient d’abord faire quelques travaux pour rendre le lieu accueillant ; or ils se sont finalement trouvés dehors avant la fin de ceux-ci. Ils ont eu le temps d’accueillir quelques collectifs de lutte liégeoise, dont les gilets jaunes ; malheureusement, ils n’ont pas pu ouvrir officiellement en septembre, comme ils l’auraient voulu.
En ce qui concerne les travaux entrepris, ils ont déplacé des objets pour libérer de l’espace, ils ont installé une chambre pour les gens de passage, ils ont remis du plâtre, recouvert la suie afin d’en éviter la toxicité, bloqués certains passages pour sécuriser le lieu, installé une douche ; ce ne sont donc pas des travaux de grande envergure, mais ils ont permis de rendre le lieu plus confortable, à leur propre usage.
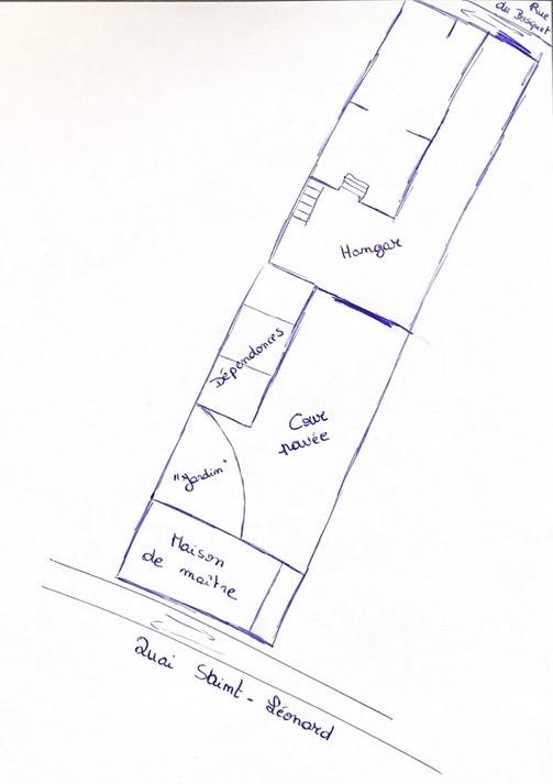
À la suite de cette entrevue, nous avions envie de rencontrer le propriétaire du bâtiment et d’obtenir sa version des faits. Il a accepté directement de nous recevoir et de nous faire visiter ses bâtiments. Nous l’appellerons Z. Z. est propriétaire (avec son frère) de ce site qui, en tout, présente une surface d’environ 1300 m2. Sa parcelle de terrain est composée, en façade, d’une grande maison de maître avec un passage latéral sur le côté droit fermé par une double porte en bois (il ne s’agit donc pas de deux maisons comme nous l’avait spécifié N.). Derrière cette maison, il y a une cour avec, à gauche, trois petites maisons collées les unes aux autres, des dépendances. Au fond, il y a un très grand hangar possédant un étage, des caves voûtées et un ascenseur pour charges lourdes. Z. nous a expliqué que, jusqu’en 1934, ces bâtiments servaient de brasserie, tandis que la maison de maître servait de logement aux brasseurs. Z. dit qu’il possède encore toutes les archives de la brasserie et donc toute l’histoire de celle-ci. Il nous a notamment raconté, quand nous visitions les caves du hangar, que des sources d’eau arrivaient dans les caves : or, pour réaliser de la bière, il fallait impérativement de l’eau. Dans cette cave, il y a également des abreuvoirs destinés aux chevaux qui y travaillaient. Ce hangar sert maintenant de remise. Avant que Z n’achète les bâtiments, c’est un magistrat qui a occupé les lieux.
Z a acheté ces bâtiments aux alentours des années 2000 alors qu’ils étaient en ruines. Pourquoi les avoir achetés ? Tout simplement parce qu’il aime rénover de vieux bâtiments pour leur redonner vie et faire vivre leur histoire. Les propriétaires ont d’emblée entrepris quelques travaux (ajout de portes coupe-feu, de grilles aux fenêtres, rénovation de la toiture) avant de s’y loger une dizaine d’années.
Aujourd’hui, la maison n’est plus aux normes : mais les pièces sont trop grandes et il est trop compliqué de tout refaire à l’ancienne, ainsi que Z. souhaitait le faire. De plus, la maison a été construite avec des colombages, donc du bois et du plâtre : malheureusement, ces deux matériaux sont en train de pourrir. Z. signale que dans la cave de la maison de maître, les bois sont mangés ; la maison, en fait, est en train de s’écrouler sur elle-même. Z. a donc décidé de mettre ses bâtiments en vente pour que quelqu’un les achète, les démolisse et construise un immeuble à appartements. Il nous dit que cela serait positif, car cela créerait des logements, mais qu’à force de détruire ce genre de bâtiments, nous perdons une partie de notre patrimoine. Quand il nous parle de la vente de sa maison, nous sentons qu’il est très attristé de ne pas pouvoir sauvegarder cette maison et son histoire. Cela fait environ six ou sept ans que la maison est en vente, mais Z. rencontre énormément de problèmes : il a rencontré des personnes malhonnêtes qui se faisaient passer pour des agents immobiliers, d’autres qui voulaient à tout prix baisser le prix demandé, etc. Il nous confie que cette situation est assez pesante pour lui et nous le sentons ému.
Z. évoque alors les amendes et les sanctions infligées aux propriétaires de maisons vides. Il ne comprend pas pourquoi imposer des amendes et des taxes à des « malheureux » : pour lui, c’est ajouter de la misère à la misère. Il dit que les propriétaires qui ont des maisons vides ne le font pas par plaisir, mais parce qu’ils n’ont pas le choix : dans son cas, ce serait trop dangereux de vivre dedans. Il ajoute que, dans d’autres cas, si les bâtiments sont vides, c’est parce que les projets de réhabilitation se font attendre ; il nous parle d’un autre de ses projets où les bureaux sont restés vides quelques années avant d’être investis par une ASBL : le bâtiment attendait simplement le bon locataire. Selon lui, le fait de sanctionner les propriétaires, comme ce serait le cas actuellement, les prive de liberté quant à la gérance de leurs biens immobiliers.
Z. insiste tout de même sur le fait que la maison n’est pas tout le temps vide : elle a notamment servi de tournages pour trois longs métrages (souvent des films d’horreur), parfois commandée par de grandes plateformes de streaming. Il semble assez fier de pouvoir prêter sa maison pour cela. Il signale un autre projet, en cours, une compagnie de théâtre pourrait utiliser les locaux à l’arrière (le hangar).
Nous avons décidé de ne pas parler de l’affaire de squat à Z., car nous le sentions déjà très attristé par l’histoire de sa maison.
Nous avons constaté que les points de vue de N. et de Z. sont forts différents : là où Z. estime que les bâtiments de ce type font partie de l’histoire voire de l’âme d’une ville, et qu’ils méritent donc d’être rénovés avec le plus grand soin, quitte à rester vides un long moment, N. et le collectif Entre-Murs Entre-Mondes pensent que les bâtiments ne peuvent pas rester vides, mais doivent être utilisés pour répondre aux besoins de la communauté et des citoyens vivant aux alentours. Cette différence s’explique par des envies différentes : l’un veut conserver le patrimoine de la ville tandis que l’autre a un objectif social, visant à (re) loger les habitants dans des conditions décentes et donc attirer l’attention sur des bâtiments laissés vides depuis un moment.
Nous avons également eu l’occasion de discuter de la situation de ce bâtiment avec un autre habitant du quartier ; celui-ci note que le manque de luminosité pose déjà problème dans le quartier de Saint-Léonard et que la transformation de ce site en immeuble ne ferait qu’empirer les choses. Il ajoute que la (prétendue) mise vente du site lui parait suspecte : aucune affiche n’a circulé dans les journaux, aucun panneau indiquant la mise en vente n’a été affiché sur le bâtiment.
N. nous a également rapidement parlé de la situation du Pigeon Communal, où il vit maintenant. Dans le cas de ce bâtiment, le propriétaire est injoignable depuis des années : cela fait douze ans que le lieu est occupé de cette manière et l’homme n’a plus donné de nouvelles depuis une dizaine d’années.
Avant, le bâtiment accueillait une banque : le Crédit communal (le nom actuel est donc issu de cet ancien usage et le terme pigeon a été ajouté, car le bâtiment était couvert d’excréments de pigeon). Le site est en meilleur état que celui du Quai Saint-Léonard : les squatteurs ont eu le temps d’y faire des travaux plus ambitieux (ils ont notamment installé un système de chauffage au bois). Le bâtiment a récemment été jugé salubre par la ville de Liège et notre interlocuteur nous indique que le lieu est vivable et confortable. Le fait que le lieu ait été jugé salubre évite aux jeunes de subir la pression policière. Il faut noter que le fait d’organiser des événements dans un lieu (ce que font les jeunes) oblige à respecter des normes plus strictes, notamment au niveau des issues de secours, etc. Or, quand Entre-Murs Entre-Monde occupait le site du Quai Saint-Léonard, ils communiquaient sur Facebook, ce qui a attiré l’attention de la police. En revanche, le Pigeon Communal se fait plus discret. De plus, le propriétaire n’a jamais porté plainte : or, si le propriétaire porte plainte, le procureur du roi peut décider d’expulser lui-même les squatteurs, même si le propriétaire ne donne pas suite à sa plainte. En règle générale, à Liège, ce sont surtout les normes de salubrité qui peuvent poser problème aux squatteurs : depuis les explosions dues à des fuites de gaz, la ville est intransigeante à ce sujet. En ce qui concerne le propriétaire, un autre membre d’Entre-Murs Entre-Mondes, V., nous a expliqué que cela faisait une dizaine d’années que les jeunes n’ont plus eu de contacts avec lui. En réalité, ils n’ont jamais eu de contacts directs avec lui, mais avec des membres de sa famille, qui sont venus une fois sur le lieu et qui leur ont envoyé une lettre. Les jeunes savent également que la famille a appelé le commissariat de quartier afin d’en savoir plus sur les démarches à suivre pour les expulser, mais rien n’a été mis en place puisque, dix ans plus tard, ils sont toujours là. Pour ce qui est de l’utilisation de ce bâtiment par le propriétaire, il servait de dépôt pour stocker des meubles ; quand ils sont arrivés, ils ont trouvé ce qui leur a semblé être le stock d’un magasin de meubles.
Dans la suite de nos entrevues, nous avons rencontré une personne, que nous appellerons J., dont le partenaire possède un bâtiment. Au rez-de-chaussée se trouve un commerce ainsi qu’un logement inoccupé. Ce dernier a été occupé pendant quinze ans par un monsieur qui était avant sans domicile, et qui payait un loyer de 250 euros. Lorsque nous entrons via une grande porte vitrée en façade, nous aboutissons directement dans la salle de séjour, qui dispose d’une mezzanine (permettant d’agrandir le logement et de créer une séparation entre l’espace de séjour et la chambre). Au fond à gauche, il y a une toilette et une petite cuisine équipée. Le logement dispose d’une première porte donnant directement sur la rue ainsi que d’une seconde donnant sur un couloir d’entrée permettant lui-même d’accéder au reste du bâtiment ainsi qu’à une troisième porte donnant sur la rue. L’ancien locataire s’entendait bien avec J. et entreposait sa machine à laver dans la cave, sans payer de supplément ou sans devoir louer une partie de cette cave. Un foyer, se trouvant sous les escaliers de la mezzanine, permettait de chauffer tout l’espace. Le chauffe-eau se trouvait dans la cave, espace qui ne fait pas partie des pièces à vivre et que J. ne compte donc pas dans son calcul relatif à la superficie.
Une fois le locataire décédé, J. a décidé de ne plus louer cet endroit car il avait connaissance d’une législation qui fixait la taille minimale des logements destinés à la location à 38 m2n (J a calculé que sa superficie est de 34,77 m2). De plus, il estime que des travaux sont à faire, il compte environ 25 000 euros pour les réaliser. Aujourd’hui, il faut refaire l’électricité, changer les châssis, finir les travaux d’isolation, etc. Cependant, le propriétaire (qui a eu un cancer) ne peut plus bénéficier d’un prêt et doit donc, s’il souhaite faire des travaux, les autofinancer ou obtenir une aide financière d’un pouvoir public.
Avant, le lieu était un salon de coiffure jusqu’à ce que la coiffeuse décide de déménager. Maintenant, il est utilisé comme espace de stockage : J. y stocke des meubles qu’il a hérité de ses parents ainsi que des cartons pour le commerce de son partenaire.
Il est impossible pour le couple de se lancer dans des travaux de cette envergure, d’autant plus que le loyer qu’ils pourraient en demander ne dépasserait pas 350 euros.
J. estime que la situation de son conjoint est similaire à celle d’autres habitants du quartier : arrivés à la pension, les gens n’ont plus la force ni les moyens d’investir (les banques ne prêtent plus au-delà d’un certain âge). Par conséquent, s’il n’y a pas un pouvoir public, tel que la Ville, pour aider les propriétaires de logements améliorables, alors ces logements resteront inoccupés. Notre interlocuteur explique que la législation est différente pour les kots étudiants, mais il n’a jamais été approché concernant sa surface. Il pense notamment à des associations comme Un Toit Deux Âges, mais celles-ci ne s’occupent pas de la phase de réhabilitation des lieux. Il pense que si un accompagnement était proposé de la part de la Ville, des universités, des hautes-écoles, etc., cela pourrait aider à la remise sur le marché de nombreux logements tout en s’assurant de la salubrité de ces endroits.
Il évoque ensuite une maison, située un peu plus loin de chez lui, que se partageaient un couple de frères et sœurs. Le frère occupait le bas de la maison avec sa compagne, tandis que la sœur habitait le premier étage avec son mari ; les enfants des deux couples occupaient les chambres dans le toit. Cet arrangement a duré pendant des années, mais le frère et la sœur ont tous les deux perdu leur conjoint et le monsieur a été placé en maison de repos. Sa sœur vit donc seule dans un immeuble de trois étages. Or, si ses enfants ne veulent pas qu’elle reste là seule, elle ne veut pas vendre, car il s’agit de la maison de ses parents, et il n’est du reste pas facile de vendre une moitié de maison, si celle-ci n’a pas été subdivisée en différents logements bien séparés. L’immeuble restera donc sous-occupé jusqu’à ce que la dame se rende en maison de repos ou décède.
J. mentionne également la situation d’une maison de maître située dans une rue adjacente à la sienne. Cette maison, actuellement inoccupée, était divisée en trois logements : le propriétaire habitait au premier étage et louait les logements du dessus et du dessous. Cependant, les locataires sont partis, car il y avait des travaux à faire qui ne se faisaient pas. Par la suite, le propriétaire est décédé et, depuis lors, le bâtiment est inoccupé. Selon J., c’est le notaire qui bloque la situation ; il n’a pas laissé son nom sur la porte ni aucun moyen de le contacter, ce que J. trouve suspect. Aujourd’hui, les maisons voisines ont des problèmes d’infiltration dus à l’inoccupation et l’abandon du bâtiment. Si celui-ci finit par être vendu, le nouveau propriétaire devra donc faire face à un gros problème d’infiltration d’eau.
Nous avons rencontré l’ancien propriétaire (S.) d’un bâtiment de la rue des Bayards, aujourd’hui racheté par les Biens Communaux et dont le rez-de-chaussée est maintenant l’atelier de Pro Vélo Liège.
S. a acheté le bâtiment il y a une quinzaine d’années et nous explique que celui-ci est resté vide pendant environ douze ans. Avant, le bâtiment était utilisé comme magasin de batteries de voiture. Ensuite, à la mort des propriétaires, le bâtiment a fait partie d’un lot de plusieurs biens immobiliers : les héritiers étaient très intéressés par les différentes maisons de maître, mais pas du tout par ce bâtiment. Il y a donc eu indivision et le notaire chargé du dossier a proposé ce bâtiment à trois architectes. S. a été le premier à se manifester et l’a acheté pour 60 000 euros, un prix qu’il estime dérisoire. Il explique avoir acheté ce bâtiment car il en était tombé amoureux et qu’il trouvait le prix très peu élevé. Cependant, il ne savait pas quoi en faire ; son idée était, peut-être, d’en faire une habitation (de type loft, avec un jardin sur le toit). Cependant, ce bâtiment était une « carcasse de béton », il n’avait jamais été chauffé et ressemblait plus à un entrepôt qu’à une habitation (le bâtiment n’a jamais dû être utilisé en tant que logement, car il n’y avait pas de traces d’éviers ni même de vestiges de cloisons, qui auraient permis de diviser l’espace en différentes pièces) : il aurait donc fallu une très grosse somme d’argent pour le rénover, ce dont S. ne disposait pas (vivant seul, il ne percevait qu’un unique salaire). De plus, le quartier ne lui plaisait pas du tout et il a donc décidé de garder le bâtiment en tant qu’entrepôt : étant architecte, il a été amené à construire des stands pour des ministères qui devaient être démontables et qu’il a entreposés dans ce bâtiment que des amis ont également utilisé de manière gratuite.
Lorsqu’il lui appartenait, le bâtiment n’a jamais été aux normes, il y avait des vitres cassées, il n’y avait pas d’eau courante, seule la partie qui avait servi de magasin était un minimum isolée. Bref, tout cela était inconfortable. Le manque de travaux a d’ailleurs amené son voisin à intenter un procès, car le toit fuyait et provoquait des dégâts dans le bâtiment d’à côté. S. a donc décidé de revendre son bien, car il avait la possibilité de racheter la maison à côté de son logement officiel, situé en périphérie de Liège, ce qui l’intéressait davantage. Il a donc revendu le bâtiment rue des Bayards et a utilisé l’argent pour racheter la maison voisine à la sienne. Il explique que la revente a été très rapide : un ami l’a mis en contact avec Les Biens Communaux, ce qui lui a permis de ne pas poster d’annonce ou d’entreprendre de longues démarches.
En ce qui concerne sa relation avec la Ville de Liège, S. n’a jamais dû payer de taxe d’inoccupation, mais il a dû, à plusieurs reprises, prouver qu’il s’agissait bien d’un entrepôt en envoyant des photos. Cependant, il a toujours dû payer les charges cadastrales commerciales, alors que le bien n’était pas utilisé en tant que magasin.
Nous avons également eu des contacts ponctuels avec un dernier propriétaire d’un logement inoccupé, un grand bâtiment situé Rue aux Chevaux. Nous avons pu le contacter grâce à un numéro de téléphone laissé sur la porte. Notre interlocuteur, que nous appellerons W., est en fait le cousin du propriétaire, qui est néerlandophone, et avec lequel nous n’avons pas pu discuter. Nous n’avons malheureusement pas eu l’occasion de le rencontrer, mais il nous a rapidement expliqué la situation lors d’un appel téléphonique. Le lieu était une ancienne maison de repos, le cousin de W. a acheté le bâtiment en 2019 et a ensuite été contacté par un promoteur immobilier. W. et son cousin étaient intéressés par la revente de la maison, mais le rachat n’a pas abouti, car le promoteur n’était pas honnête. Tout cela leur a fait perdre du temps, mais ils sont maintenant en train d’entreprendre des démarches pour transformer la maison en plusieurs appartements ; un architecte a été contacté et est venu visiter le lieu et un permis d’urbanisme est en train d’être demandé. Pour le moment, la maison est en très mauvais état, nous ne savons pas exactement à quel point, mais lorsque nous avons demandé s’il était possible de visiter le lieu, le propriétaire a refusé, car il a peur des risques, des blessures éventuelles.
Comme nous l’avons mentionné dans l’introduction de notre travail, de nombreux voisins nous ont rapidement raconté l’histoire des logements inoccupés se trouvant à côté de chez eux. Malheureusement, il nous a été impossible de trouver les propriétaires de ces logements : l’histoire de ces logements nous parvient donc par l’intermédiaire des voisins. Nous pensons cependant qu’il est intéressant de retranscrire les quelques histoires qui nous ont été racontées. N’oublions toutefois pas que nous n’avons pas la version de l’histoire des propriétaires.
La première histoire concerne une petite maison qui ne paye pas de mine. Elle est très sale et il y a un carreau cassé au-dessus de la porte d’entrée. Les châssis sont très abîmés. Une voisine relève qu’une dame avec son fils vivait-là. Au décès de la mère, le fils a repris la maison. Cependant, il y a dix ou quinze ans, le fils est parti en laissant sa maison à l’abandon. Depuis, il revient de temps en temps, mais il ne vit plus du tout dedans. D’après la voisine, il serait toujours domicilié à cette adresse.
Une autre rue, une autre maison vide. Elle appartenait à une dame qui vivait seule. La maison est inoccupée depuis environ trois ou quatre ans, car la propriétaire a dû aller vivre en maison de repos. À sa mort, c’est son petit-fils qui a hérité de la maison (la fille de la propriétaire étant déjà décédée depuis un moment). Cependant, celui-ci n’avait pas de relation avec sa grand-mère et a immédiatement décidé de la mettre en vente. La pharmacienne, qui est établie à côté, est en train de racheter le bien afin de s’agrandir ; elle créera également un appartement au-dessus destiné à la location. Elle nous confie que la maison qu’elle va racheter nécessite de très gros travaux, notamment à cause de fuites d’eau. Selon ses dires, elle n’achète que quatre murs.
Une autre grande maison est considérée comme inoccupée par ses voisins : achetée par une société anonyme, qui a fait quelques travaux, elle a été divisée en logements pour être directement revendue. C’est maintenant un Bruxellois qui en est propriétaire : il a mis des panneaux en bois sur les fenêtres, car des gens démontaient les fenêtres pour y rentrer. Des immondices étaient notamment entreposées dans le jardin et les voisins ont appelé l’agent de quartier. Celui-ci a contacté le propriétaire qui est venu nettoyer tout ça.
La dernière histoire est celle d’une maison dont le propriétaire est décédé il y a deux ans. Les locataires ont été expulsés en raison de l’insalubrité du bâtiment et le lieu est ensuite devenu un squat et un repère de trafiquants. Le fils du propriétaire décédé est donc venu poser des plaques sur les fenêtres pour mettre un terme à cette situation. Un autre voisin nous indique qu’il s’agirait d’un problème d’héritage.
Conclusion : quelques-unes des difficultés que rencontrent les propriétaires…
Ce travail nous a permis de réaliser qu’il y a davantage de logements inoccupés que ce que l’on peut spontanément croire. Le comité de quartier nous avait indiqué qu’actuellement, tous les bâtiments se vendent très vite dans le quartier, mais il s’agit en fait de logements qui sont en bon état ; les bâtiments à propos desquels nous avons eu l’occasion de recueillir des témoignages nécessitent tous des travaux de plus ou moins grande envergure. Certains habitants du quartier avec qui nous avons pu discuter ont semblé étonnés que notre liste soit si longue ; beaucoup disent se rendre compte que la crise du logement est un problème, mais sans savoir que les logements inoccupés sont si nombreux dans leur quartier. L’inoccupation d’un logement est le fait de plusieurs facteurs, et il y a sans doute autant de logements inoccupés que de combinaisons personnelles qui expliquent l’inoccupation. D’une façon générale, c’est néanmoins l’insalubrité des logements et la difficulté qu’il y a à entreprendre des travaux de rénovation très importants qui découragent les propriétaires. Au fond, ce qui ressort de l’enquête, c’est d’abord un sentiment de découragement ; il faut relever aussi que les propriétaires de logements inoccupés ou sous-occupés ont envie, sinon besoin, d’une plus grande implication de la part des pouvoirs publics dans la réhabilitation de leurs biens immobiliers.




